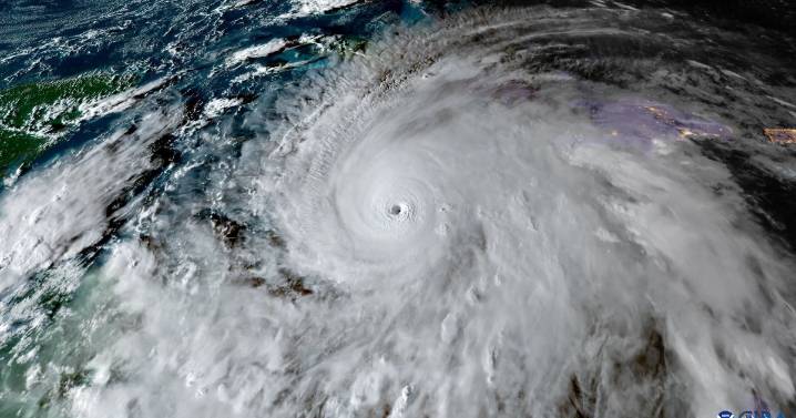
El huracán Melissa ha sido un evento meteorológico extremadamente grave, especialmente para el Caribe . Actualmente, hasta este 28 de octubre de 2025, el saldo y las afectaciones son significativas, ya que la tormenta tocó tierra en Jamaica como categoría 5 y se dirige a Cuba.
El huracán ha dejado un saldo preliminar de al menos 9 víctimas mortales confirmadas en varios países del Caribe y Centroamérica .
Víctimas mortales
Algunas de las muertes atribuidas a este terrible fenómeno natural son:
En Jamaica se confirmaron 3 muertes, esta cifra fue reportada por las autoridades jamaicanas tras el impacto directo del huracán Categoría 5.
Haití reportó otras 3 muertes y el número de fallecimientos fue anunciada por las autoridades locales haitianas encargadas de la gestión de desastres.
En

TV Azteca Noticias

La Silla Rota Mundo
The Babylon Bee
Salon
Newsweek Top
The Daily Beast
RadarOnline
ESPN Soccer