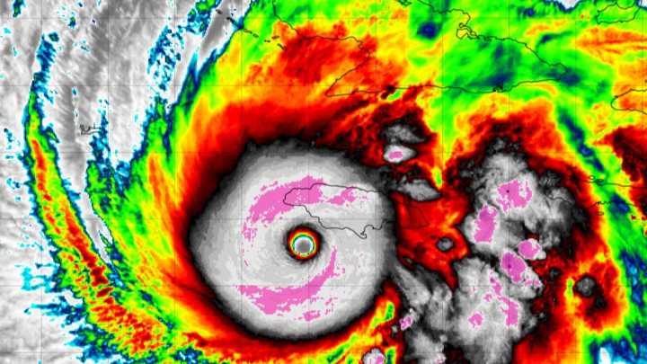
El huracán Melissa pasará a la historia como uno de los más poderosos en tocar tierra en el Caribe
Melissa está por entrar a tierra, mientras en Puerto Rico esperamos lluvias en la tarde
Primera Hora8 hrs ago
103
Primera Hora8 hrs ago
El huracán Melissa pasará a la historia como uno de los más poderosos en tocar tierra en el Caribe