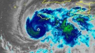
Hurricane Melissa intensified to Category 5 strength Monday as it neared Jamaica, where forecasters said it would unleash catastrophic flooding, multiple landslides and extensive infrastructure damage.
Melissa is forecast to make landfall on the island Tuesday and cross Cuba and the Bahamas through Wednesday.
“Do not venture out of your safe shelter,” the National Hurricane Center warned.
For the latest on Hurricane Melissa, go here.

NBC 6 South Florida

KLCC
CBS Philly
Newsday
America News
Associated Press Top News
The Weather Channel
The Washington Post World
ABC News
FOX 35 Orlando
New York Post Business
AlterNet
OK Magazine